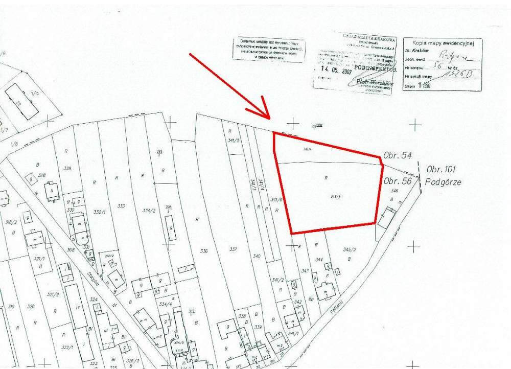
Kraków, ul. Półłanki

Plot on sale

Plot Area 5317 m2

Description of the property

Property details

Bright kitchen

Yes

Offer number

NEO848851

Property location

    Effective real estate agency - Krakow and surroundings.

    Contact agent